 fill=%23FFFFFF%3E%3Crect x=249 y=126 width=1 height=1%3E%3C/rect%3E%3C/g%3E%3C/g%3E%3C/svg%3E)
5 d9 A2 ~5 e: w+ q- L) F 近日,由宁波市测绘学会主办,宁波上航测绘参与承办的“宁波市海洋测绘技术及应用交流会”顺利召开。会议聚焦海洋测绘前沿技术与应用,旨在通过技术探讨,热点分析和案例分享等形式促进海洋测绘领域的技术创新、交流合作和可持续发展。学会会员单位相关技术人员100余人参会。
9 r, P7 T5 y7 D9 @+ n9 ]0 b 会上,宁波上航测绘作《河口海岸水文测验方法与应用》专题报告,从河口海岸水文环境特性、常规水文测验的主要工作内容、外业作业的要求、内业作业中的若干概念与指标、常见问题与解决方法技巧、从业人员的技能要求等方面进行了分享。 7 Y4 r) t7 Y5 w7 \& e& j1 h8 d
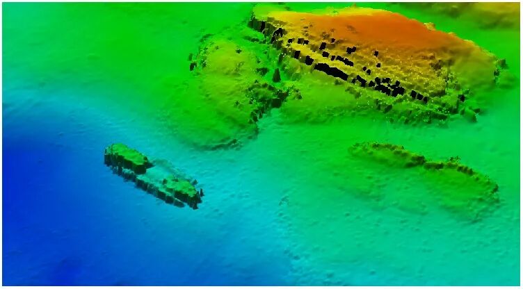
沉船扫测影像 9 G6 e. `1 k& ?% S: v* A# Q: M
海底电缆敷设示意图
( R! u4 o, T; F) F# p 上虞重要水域水上水下一体化模型 3 J/ Y( J# p8 P+ I+ X$ w. E* F5 j
长江镇江段航道水下地形
7 f6 _ K2 F+ C% K. j2 I 作为宁波市测绘学会副理事长单位,宁波上航测绘一直致力于推动海洋测绘事业高质量发展。宁波上航测绘多年深耕海洋测绘领域,掌握了一批行业领先的高精度海洋探测技术,能够综合应用多种设备提升海底障碍物探测精度,在大面积海域水下地形测量和水文水资源监测业务上有着领先的技术水平,在海洋探测、海洋精细目标及障碍物探测技术方面有着丰富经验。 # {% p3 ~' l- h' y7 ?% g% b/ |
供稿:于秉印 & M$ U6 M5 D& z' U; ^
p' ?+ C- v7 O% o+ X3 u
* x" I6 j. D# S) e8 }
. @7 z! C2 N+ K5 |% Y
0 R4 \) S% q0 \; e |