|
, E6 N! _2 m1 a5 A* p( ?; u- }
 7 L: a, M/ G0 H9 w9 f% R8 n8 G

- m/ J4 ~$ [* P, D* O/ C  * }0 V; a4 t3 j
文章转自: OFweek机器人网
& m& h5 i x5 x3 a- U 从石油、天然气到动植物研究,广袤的海洋有着太多吸引人的地方。一直以来,人们对于海洋的探索也从未停止过。为了能够更好的达到水下研究的目的,也出现了各种各样潜水器和水下机器人设备。
" h+ w3 ^- K* X% O1 w* t 过去的很长一段时间里,潜水深度可能是最受关注的地方,而随着人们对于海洋研究的进一步深入,也出现了很多其它的问题。在设备的设计上,以螺旋桨作为动力装置无疑是目前最为成熟的一种方式。 ' v8 k# s9 }3 S2 U$ f6 d8 }
 ; L' R G; |/ W8 b- L# `/ Q# k9 }
但把它用在科学研究的设备上,存在很多不足之处。首先从环境保护的角度出发,潜水设备的螺旋桨难免对海底动植物造成损伤。除此之外,由于螺旋桨所产生的噪音很大,很难保证你能够获得海底动物真实的活动状态,这也会导致后期研究过程会出现不准确的情况。 ) o" }2 ~' ]2 o8 [7 p2 r
当然,人类的智慧是无穷的。在意识到传统潜水设备所存在的问题后,也有不少厂商或者相关的研究机构开始推出仿生机器人,来获得更真实的数据。 ; k. b, C# }9 j+ g0 m' f! e/ X# [3 N
 3 Z9 M! `) b: V, N1 C
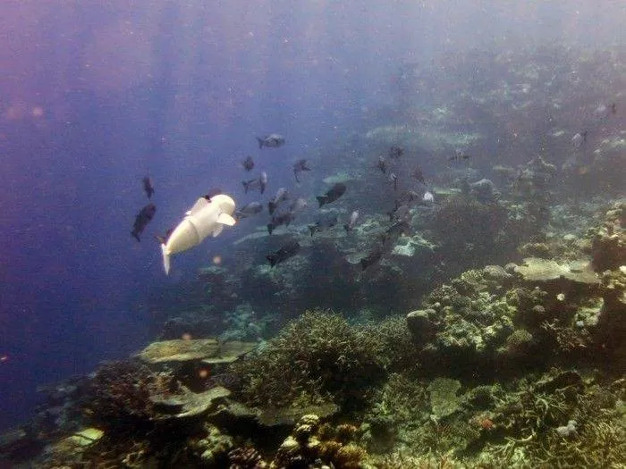
援引TheVerge的报道,麻省理工学院(MIT)计算机科学和人工智能实验室(CSAIL)的科学家们开发出了一款名为SoFi的机器鱼。 5 t% N1 I6 O* R5 d7 S1 O( U- M

# I r, {% S, S/ O m 和我们平时看到的鱼类一样,SoFi同样设计有类似于鳍和尾的结构。另外,在其头部中央位置,还配备了高清摄像头,来提供图片和视频拍摄功能。
5 K& z% _8 H) g; x; j 值得一提的是,SoFi在材质方面选择了硅胶和柔性塑料,而非金属。这也意味着,相比其它同类产品,它能够做到更好的成本控制。
" D3 ?7 T3 ^8 c$ G+ s7 {) `" b9 o 
8 b% p: o" G {% }! w+ C$ x" L7 H- k 大家比较关注的动力部分,除了上边我们提到的“鳍”,SoFi的内部还有充满压缩空气的浮力舱以及可调的重量舱,通过这些装置的配合,来实现垂直方向上的位置变化。
9 j( g7 w0 i e) q/ V: T l. C5 f. g0 M 除此之外,SoFi内部配备有电机,它可以将水泵入机器鱼内部两个像气缸一样工作的气室,从而来驱动尾巴摆动,达到前行的目的。CSAIL博士候选人RobertKatzschmann表示,“据我们所知,这是第一种可长时间不受限制地在三维空间中游泳的机器鱼。” $ b" H' P; {& W+ c% B: [9 W
8 j9 t! w4 \7 ^9 W
 4 v2 T" \: x# Y% z- [$ E$ m+ p
而对比传统螺旋桨式设计,SoFi动力装置优点主要有两点。首先在机器鱼运动过程中,它所产生的噪音要小很多,另外一点是,由于没有像螺旋桨一样的叶片结构,也可以避免对海底生物造成伤害。 o! l0 P2 t: }: Z! H, O

# T3 f/ T' J, J | 至于SoFi的未来,CSAIL主管DanielaRus表示,“我们认为SoFi是开发水下观测台的第一步,它有可能成为海洋探索的新型工具,并为揭开海洋生物的奥秘开辟新的途径。”
. P- y+ Q" k k0 F- ]+ H 当然,也正如DanielaRus所说,一切都还是未知数,想要达到预期中的目标,包括续航、下潜深度、控制方式等等很多方面,SoFi还有很长的一段路要走。 / n; S) w' Y" @& |
-End- % b7 b( x8 a! y$ c: f: r9 |
文章转载自OFweek机器人网,版权属于原创作者,我们尊重原创者版权,除我们确实无法确认作者外,我们都会注明作者和来源。在此向原创作者表示感谢。若涉及版权问题,请联系我们删除文章。
, _! {& e8 \' N9 J  1 E: y3 w t" B+ D9 _& c
" t( l* |, H. `
* v6 p! Q2 d8 ?
4 |: X% Q6 D3 \$ ?9 F* G; e
" t( c/ I/ O6 E |